湾内脱出! (JUN)
天候:曇りのち晴れ




気温:27℃
水温:26℃
海況:北東の風 やや強い 波高2、5m

ど〜も〜こんばんは〜
JUNです
昨日までは連日、島の西側、船浮湾内でのダイビングとなりましたが、今日は若干風向きが東に振ったので、西側が昨日よりかなり穏やかになりました〜
朝の出港時は曇り空だった西表
今日は、ミス7の一隻で出港です

船長、JUN、ガイド、青井、ちあき
西側の波が落ち着いたので、1本目は崎山カメカメポイントへ
船上からでも透明度が良いのがわかるくらいクリア〜〜〜
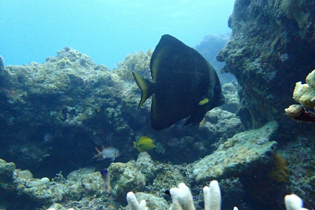
お目当のカメは、アオウミガメが1匹だけ見れたみたいです
大きめなアオウミガメがどっしり
ウミガメがよくいるエリアに目立ってる、アザミアサゴ
白っぽく見えますが、白化しているわけではなく、元々こんな薄いピンク色してます
その近くには、舞茸みたいなリュウキュウキッカサンゴが
そして、ここは何と言っても、浅瀬のサンゴがと〜〜っても綺麗

ちょうど潜り始めて少し経った頃から、雲が流れて太陽が出てきてくれました〜
浅いサンゴポイントは、光があるとないとでは、全然違いますからね〜
今年は、おそらく大きな台風も来ない
(と信じて)だろうし、白化の心配もないので来年の夏まではこのまま元気なサンゴが見れるはずです
ここは、基本的に透明度が良いので、サンゴの背景をぜひ青い海にして撮っていただきたい


サンゴも、カラフルなところを選んで撮ると、青い海にカラフルなサンゴと、まさに西表
っていう一枚が撮れますよ〜
2本目は、ちょっと島の南側にまわって、ブルーラビリンスへ
ポイントに着いた時は、また少し曇ってきたんですが、潜る頃になるとまた青空が
タイミング良〜し
ここは地形ポイントなので、太陽の光が必須です

そして、1本目に続きここも透明度30mオーバー

クレパスを抜けながら、沖へ向かいます
前回まで、クレパスの途中にいたカミソリウオは、どこかへ流されたのか、今日はいなかったようです
途中からクレパスの間に外洋が見えてきます
吸い込まれそうなブルーとはまさにこのこと
でも、吸い込まれて深い方に行かないで下さいね〜
たまに、外洋側に巨大なナポレオンがいたり、イソマグロが通過したりすることがあるので、大物好きな方は、外洋側もよく見ていて下さいね〜
沖からの折り返しのクレパスの入り口には、ハナゴンベが居着いてます
大人からやや小さめの子供まで
帰りはまた、違うクレパスを通って戻ります〜
砂紋が綺麗なところも通ったり〜
最後、安全停止に丁度いい、5mの棚上にはモンツキカエルウオが住んでます
大人で親指サイズですが、最近、小指より小さいサイズの子供も見かけます

棚の上をよく探していると、ウミウシがいることも
ちょっと珍しい、アカオビツバメガイ
毒々しい色合いですが、なかなか綺麗なウミウシです
3本目は、網取へ移動して、網取浅場へ
ここも透明度良さそ〜〜
海の青さが、白砂なので映えますね
水中はこんな感じに、スッコーーんと抜けてたそうです

ここでプカプカしているだけで、気持ち良さそうですね〜
スカシテンジクダイは今日もモリモリ〜〜
可愛いサイズの、ハマクマノミのBABYもいたそですよ〜
こちらは、巨大なテーブルサンゴを下のアングルから

下から撮っても面白い画になりますね〜〜
今日は、久々に湾内脱出して、青い海で気持ちの良い3ダイブでした〜〜


そしてそして、6月からシーズンスタッフとして、力を貸してくれた、ちあきこと浅井ちあきが、今日で仕事納めとなりました〜
昨シーズンに続き、2シーズン目、この調子で来年も頼むぜ、ちあき


また、来年、西表の海で会えるかも
ですね〜
それでは、今日はこの辺で〜〜

お知らせ

来月11 月16・17日に八重山のイベント
『島々フェア』
が福岡県の天神地下街で行われ、
我らが、大島が行きます


興味のある方、近くにお住いの皆様、
そして大島に会いたい
方は、どうぞ足をお運びください
ピカリャ~も遊びに行きます


10月からの料金について

2019年10月からの消費税増税にともない、うなりざきでも料金が改正されます。
下記、ホームページの「料金案内」にて掲載しておりますのでご確認ください
https://www.unarizaki.com/iriomote/r19-frame01/
秋のお得な情報


恒例の秋得パッケージを今年も受け付け開始いたします
今年は、10月から消費税アップということで、10月1日からスタートしています
ダイビングと宿泊のお得なパッケージプランで、10月以降で計画中の方必見です
ご予約はHPからのメールのみの受け付けになります
詳しくは、こちらをご覧ください
https://www.unarizaki.com/iriomote/akitokupack/price/
うなりざきの公式動画を作成しました

ダイビングチームうなりざきの紹介動画と
オガンダイビングの参加条件や潜り方などのご案内動画、
併設の宿泊施設、「イルマーレウナリザキ」「ヴィラうなりざき」の紹介動画の
全部で3つ作成しました
是非チェックしてみて下さいね~~

ダイビングチームうなりざきの紹介

オガンダイビングについてのご案内

イルマーレウナリザキ・ヴィラうなりざきの紹介

2019年Tシャツ販売中

今回は、フロントにカッコよくカツオドリとうなりざきのロゴが入ってます

色は、このブルーとピンクの2色
ショップで販売してます





































24度
本目 〈Gスポット〉
本目 〈アカハゲ〉
本目 〈外離れ南〉









おまけ





と悔しみながらも・・・










































」と青井が呟いたとか呟いていないとか。。








の幼鳥










































































































